This Property Search Sponsor Link is Available | PURCHASE HERE
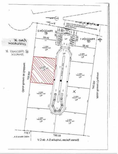
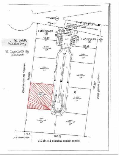
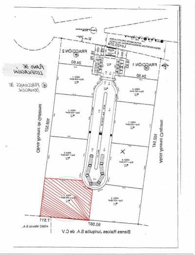
Commercial Properties For Sale in Queretaro, Queretaro, Mexico
2,796 properties available.
(page 1 of 56)














































