Residential Land For Sale
$1,671,000
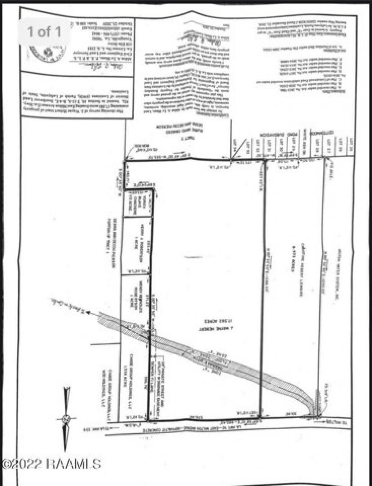
1320 E Milton Ave Lot 2DC
Youngsville, Louisiana, United States
Listed By: Realtyww Info
Listed On: 08/29/2024
Listing ID: GL11379588 View More Details
Description
The first plat is the entire property and the second plat is what has been recently sold (lots 2-A and 2-B) and what is reserved (Lot 2-C), being the frontage up to the ditch, anything past the ditch is now listed for sale (lot 2-D). Property did not flood in 2016 and is zone X (not flood). (MLS for lot 2-A is 22003645, MLS for Lot 2-B is 22003646)For more details:
Listed by: Rachel Capritto












