Residential Land For Sale
$299,000
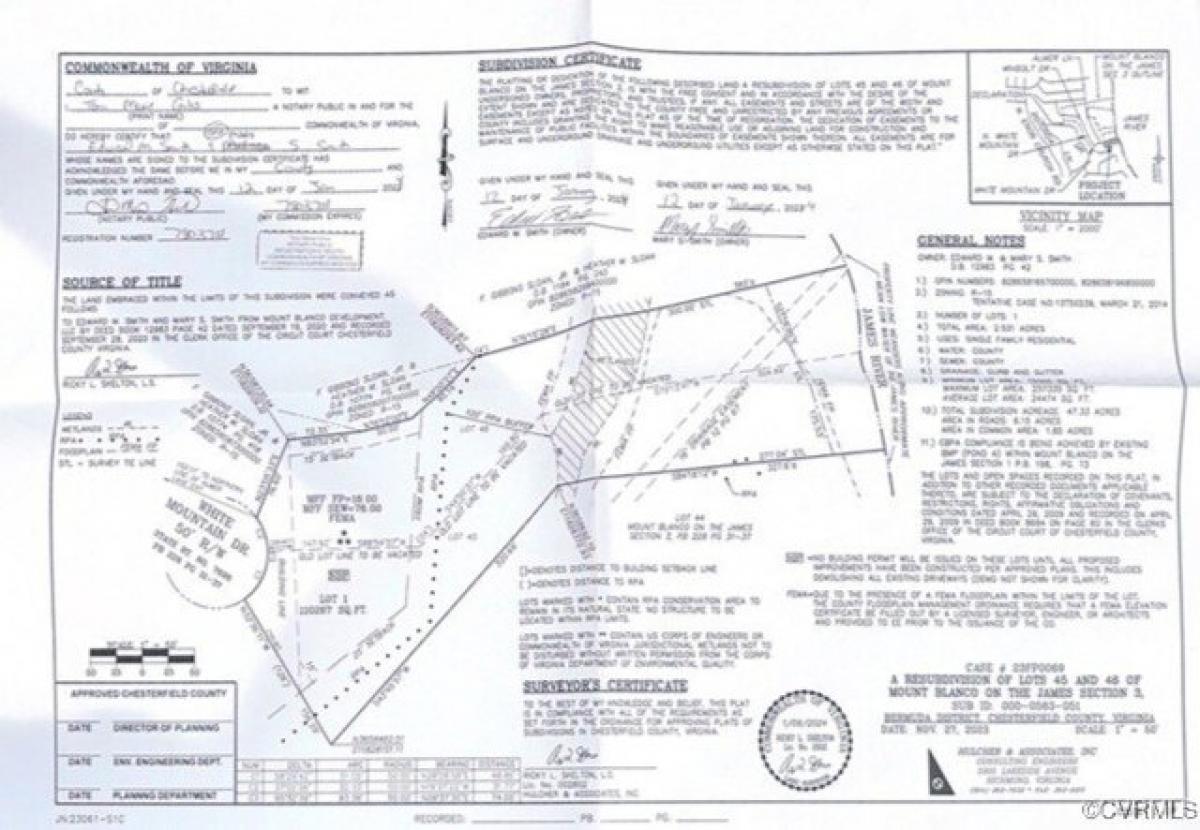
1500 White Mountain Dr
Chester, Virginia, United States
Listed By: Realtyww Info
Listed On: 08/04/2024
Listing ID: GL11712911 View More Details
Description
Do not miss this opportunity to own 2.53 Acres on the James that is ready for your new home located in the lovely Mount Blanco at Meadowville Landing Subdivision. This property consists of two lots that were recently combined to one larger lot to allow more room to build your dream home with plenty of space between neighbors. Partially cleared level portion of the lot ready for building while the remainder is mixed with wooded area that will lead you to the partially cleared access area to the James. Sign will be placed in the next few days, Owners have had a surveyor place new markers out for ease of property line. Photos coming soon!For more details:
Listed by: Chris Branton




