Residential Land For Sale
$12,900
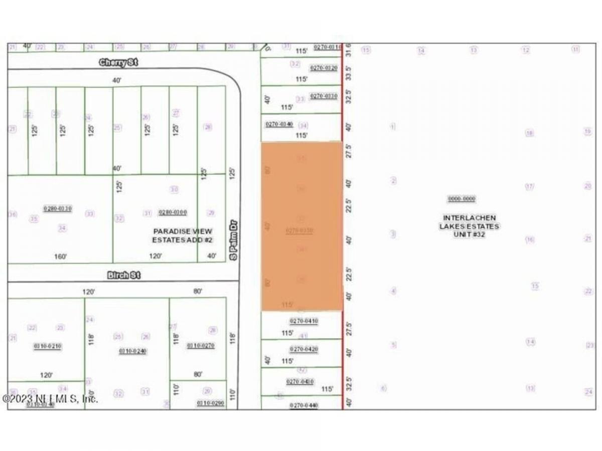
160 S PALM Drive
Interlachen, Florida, United States
1 acres
Listed By: Homes & Land Magazine
Listed On: 06/25/2025
Listing ID: GL11133433 View More Details
Description
If country living is for you., don#039;t miss this one. Come build you new home here. Nicely wooded with plenty of room.














