Residential Land For Sale
$8,000
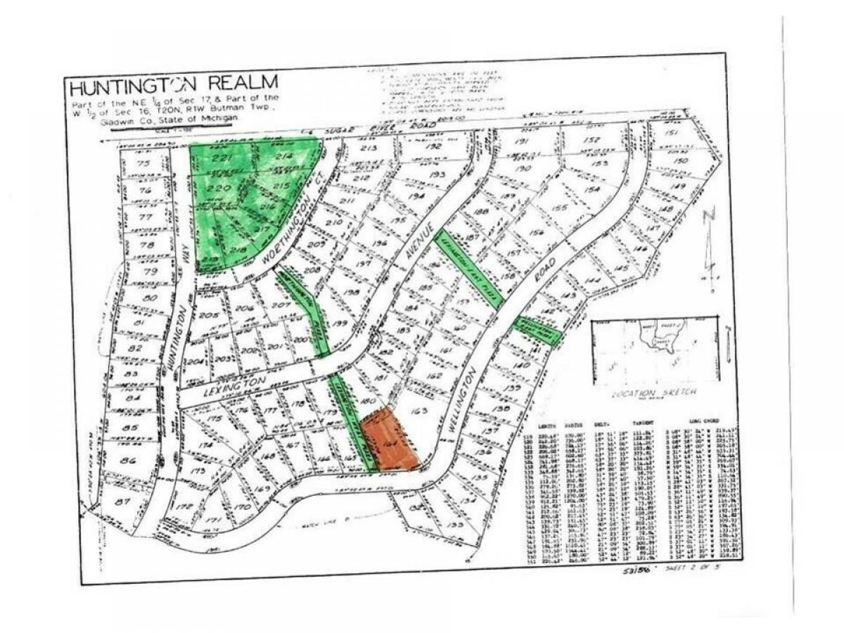
164 WELLINGTON
Gladwin, Michigan, United States
1 sqft
Listed By: The Real Estate Book
Listed On: 05/19/2025
Listing ID: GL11118831 View More Details
Description
Large unimproved lot, excellent for building or camping. Over 1/2 acre and a short walk to Lake Lancelot and Huntington Beach Club, which has rental boat docks, ramp, playground, bath house and more. For added privacy, across the street is a large common area (Wellington Plaza) and to the left there is a common area (Lexington West Plaza). Both allows for the natural setting and wildlife that Sugar Springs has to offer. Ownership provides access to an 18 hole golf course , restaurant/pub, fitness center, indoor heated pool, tennis/bocce ball courts, chalet/sledding hill, walking (nature) trails, activity bldg, storage area, 2 all sports lakes, Lk Lancer/Lancelot, 15 beach clubs (5 with beach/bath house). Or fly to/from Sugar Springs off a 3500ft well maintained grass airpark. www.airnav.com 5M6. ALL just 2-1/2 hours from Detroit!

























