Residential Land For Sale
$899,000
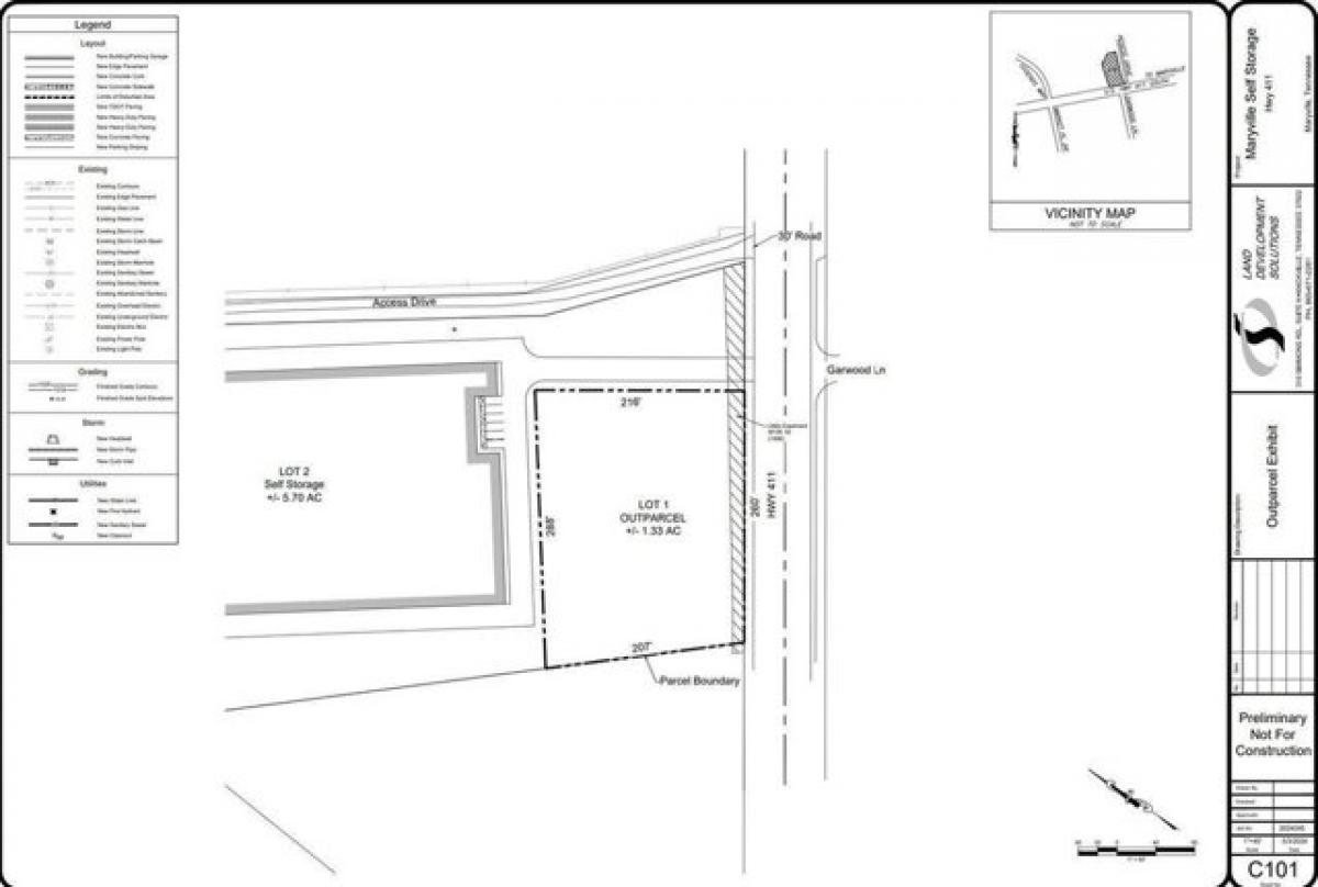
2107 US Highway 411 S
Maryville, Tennessee, United States
Listed By: Realtyww Info
Listed On: 08/06/2024
Listing ID: GL11702341 View More Details
Description
RARE OPPORTUNITY FOR RETAIL DEVELOPMENT. West Maryville just down the street from new Aldi. 1.33 acre Outparcel 2107 US Hwy 411 Maryville TN currently Wallace Hills Driving Range, retail outparcel. This new, to be developed, outparcel will have master detention and all city utilities to the site, yielding a high net usable acreage parcel. Over 250' of road frontage on Hwy 411, new retailers in this submarket include Chick-fil-A, Dutch Brothers Coffee and Aldi. Growing traffic counts exceeding 30, 000. ADT retailers are searching high and low for a suitable parcel along this hard entry market! Great for quick service restaurant, full service casual, medical office, retail, convenience store/fuel and or other uses.For more details:
Listed by: Michael Fuller














