Residential Land For Sale
180,000
Aradippou
Aradippou, Larnaca, Cyprus
744 sqm
Year Built: 0
Listed By: Bezino Trading Ltd
Listed On: 12/03/2024
Listing ID: GL11989187 View More Details
Description
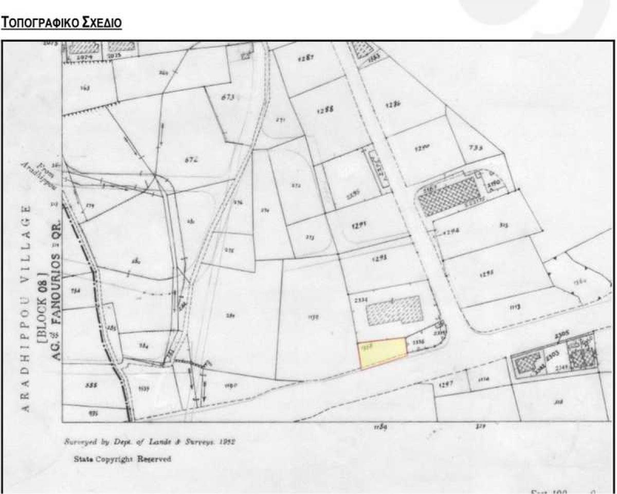
5.4. ΠΕΡΙΓΡΑΦΗ ΤΟΠΟΘΕΣΙΑΣ ΚΑΙ ΑΚΙΝΗΤΟΥ 5.4.1. ΠΕΡΙΓΡΑΦΗΤΟΠΟΘΕΣΙΑΣΤο υπό εκτίμηση ακίνητο βρίσκεται στην τοποθεσία 'Κλήμης', εντός των Δημοτικών ορίων του Δήμου Αραδίππου, της Επαρχίας Λάρνακας.
Συγκεκριμένα, εφάπτεται επί της Λεωφόρου Ελλάδος, μια από τις πιο πολυσύχναστες οδικές αρτηρίες της Βιομηχανικής Περιοχής, η οποία συνδέεται με τον κυκλικό κόμβο Καλού Χωριού.
Η προσπελασιμότητα του ακινήτου χαρακτηρίζεται ως εξαιρετική από και προς όλες τις κατευθύνσεις του Δήμου.
Η άμεση περιοχή του ακινήτου χαρακτηρίζεται από βιομηχανικής χρήσης τεμάχια γης τα οποία στεγάζουν βιομηχανικά κτίρια καθώς και από κενά τεμάχια γης.
5.4.2. ΠΕΡΙΓΡΑΦΗΑΚΙΝΗΤΟΥ
Το υπό εξέταση ακίνητο, αποτελεί χωράφι, 744 μ2, το οποίο κατέχει συνεχόμενη θέση. Διαθέτει ορθογώνιο σχήμα, ενώ ως προς την μορφολογία του χαρακτηρίζεται ως ομαλή επίπεδη επιφάνεια.
Σύμφωνα με το επίσημο κτηματικό σχέδιο, το υπό εκτίμηση ακίνητο εφάπτεται εγγεγραμμένου ασφάλτινου δρόμου - Λεωφόρος Ελλάδος κατά μήκος του νότιου του συνόρου, διαθέτει νότιο προσανατολισμό και πρόσοψη στο δρόμο περί τα 43 μέτρα. Επίσης, κατά μήκος του ανατολικού του συνόρου, εφάπτεται με χώρο πρασίνου.
Κατά την επιτόπια επιθεώρηση διαπιστώθηκε ότι εντός του τεμαχίου δεν έχει παρατηρηθεί κάποιο κτίσμα, ενώ αυτό εξυπηρετείται από τις υπηρεσίες κοινής ωφέλειας.
Οι πιο πάνω πληροφορίες υιοθετούνται ως ορθές. Σε περίπτωση που υπάρξει έκδοση επίσημου εγγράφου, το οποίο διαφοροποιεί τις πιο πάνω πληροφορίες, τότε η Danos Valuations L.L.C. διατηρεί το δικαίωμα επανεκτίμησης του ακινήτου.
5.5. ΚΑΘΕΣΤΩΣ ΚΑΤΟΧΗΣ ΑΚΙΝΗΤΟΥ
Το ακίνητο ιδιοκατέχεται και εκτιμάται με ελεύθερη κενή κατοχή.
Share: No
Density: 100
Coverage: 60
Land type: Plot
Plot area: 744 m2
Plot Type: Commercial
Parcel number: 1358
Online viewing: Yes
Registration block: 7
Square meter price: €242 /m2
Registration number: 71094:




