Residential Land For Sale
$479,160
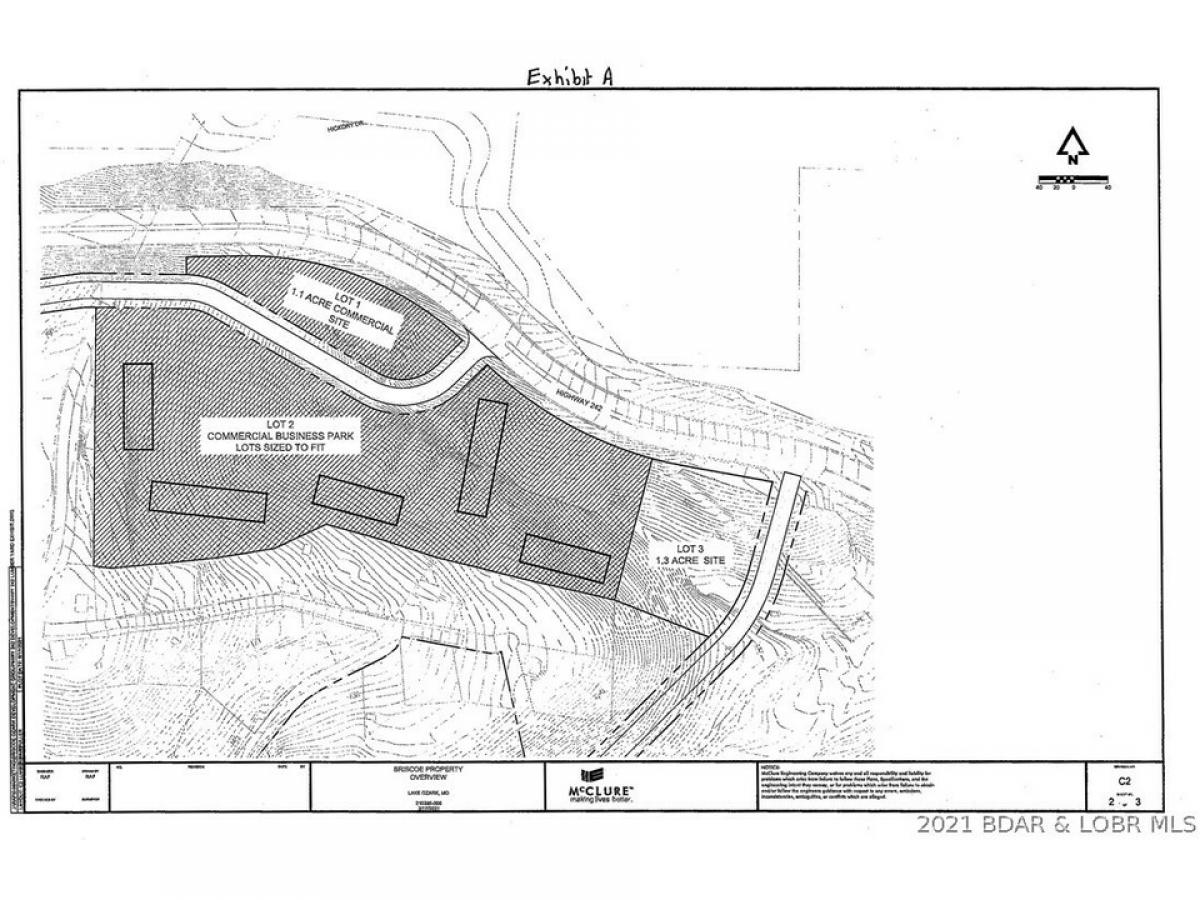
Lot 1 Hwy 242
Lake Ozark, Missouri, United States
1 sqft
Listed By: The Real Estate Book
Listed On: 05/19/2025
Listing ID: GL11119573 View More Details
Description
1.1 acre commercial pad site with great Highway 242 visibility and wonderful road access. Hwy 242 is the future of Lake Ozark and this spot is centrally located close to both Osage Beach Parkway and The Bagnell Dam Strip. Only seconds from Menards, Kohls, the movie theater and everything else yet to be built on Hwy 242. Owner to provide a rough graded pad site fully serviced with infrastructure upon closing. Yes this lot will have water, sewer and electricity for this price. Several residences and apartments extremely close to the lot. Tons of potential for varying business opportunities. If you want visibility and a central location, this lot is something you need to check out! Lot is within the City of Lake Ozarks Tif district.



















