Residential Land For Sale
$175,000
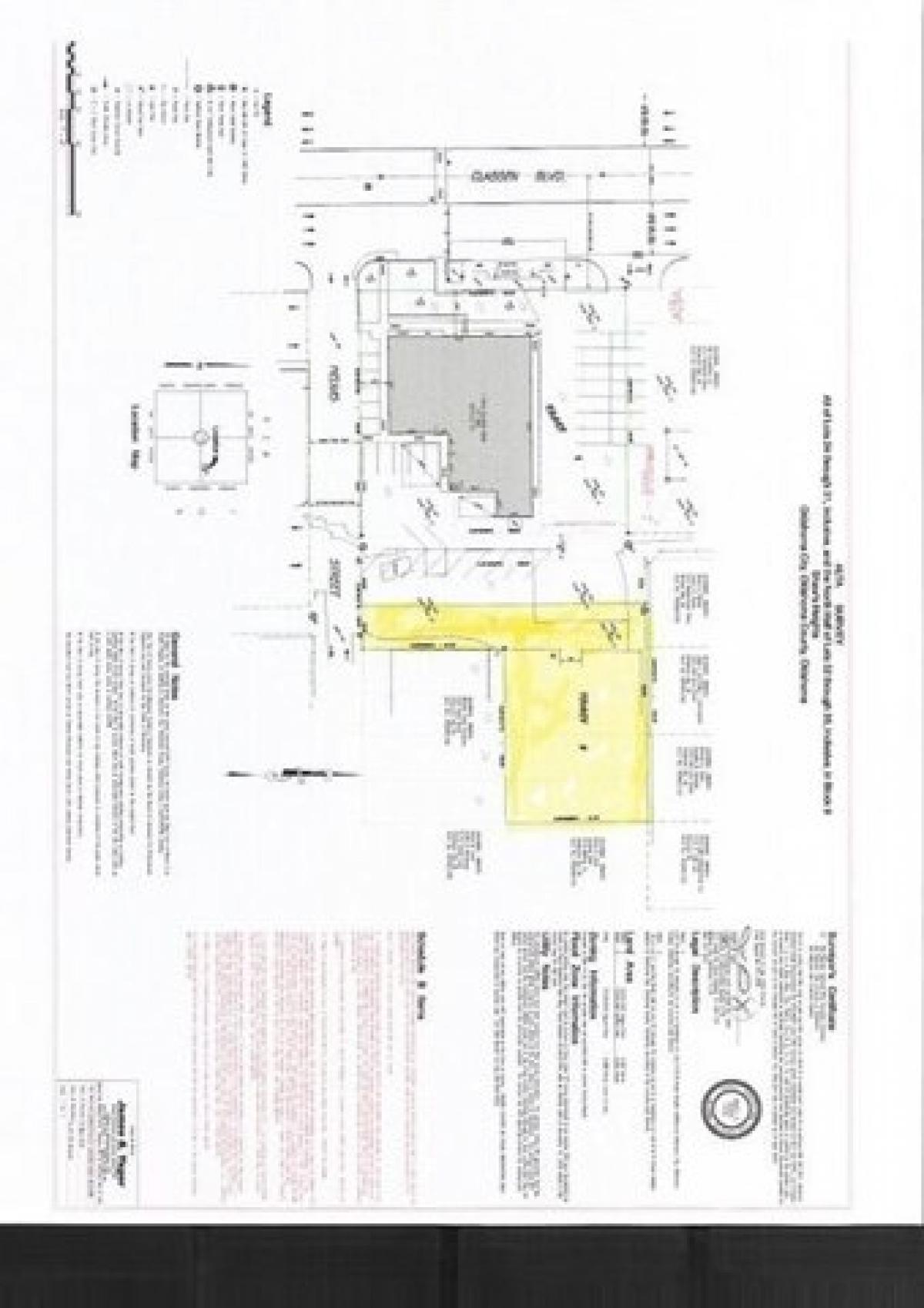
NW Helm St
Oklahoma City, Oklahoma, United States
Listed By: Realtyww Info
Listed On: 07/27/2025
Listing ID: GL11846595 View More Details
Description
Great area and growingFor more details:
Listed by: Steve Burris














