Residential Land For Sale
135,000
Tseri
Tseri, Nicosia, Cyprus
555 sqm
Year Built: 0
Listed By: Bezino Trading Ltd
Listed On: 12/03/2024
Listing ID: GL11989876 View More Details
Description
Location:Navarinou , Post code 2480
Tseri, Nicosia
Close to many local amenities (school, banks, bakeries, supermarkets, etc.).
Quick access to the motorway.
Main Property Info:
Plot Area - 555m2
Residential zone - Ka5
Floor Area Ratio (density) - 100%
Building coverage ratio (coefficient) - 50%
Max Floor number - 3
Max height - 13.5m
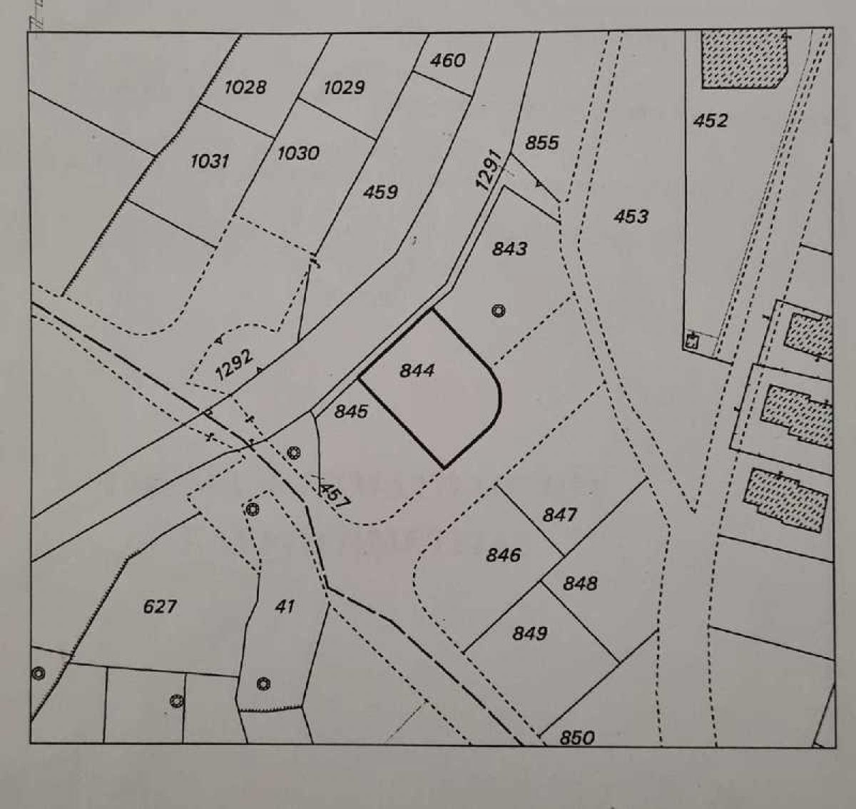
Plot Number - 844
Features:
Quiet Neighbourhood.
Level Surface.
Title deeds available.
In a dead-end road.
Τοποθεσία:
Ναυαρίνου 3, ΤΚ 2480
Τσέρι, Λευκωσία
Κοντά σε αρκετές τοπικές ανέσεις (σχολείο, τράπεζες, αρτοποιεία, υπεραγορές, κλπ.).
Εύκολη πρόσβαση προς τον αυτοκινητόδρομο.
Κυριότερα Χαρακτηριστικά:
Εμβαδό Τεμαχίου - 555τ.μ.
Πολεοδομική Ζώνη - Κα5
Συντελεστή δόμησης - 100%
Ποσοστό κάλυψης - 50%
Δυνατότητα ανέγερσης 3 ορόφων
Ανώτατο ύψος ανέγερσης - 13.5μ
Αριθμός Τεμαχίου - 844
Επιπλέον:
Ήσυχη γειτονιά.
Επίπεδη επιφάνεια.
Υπάρχουν τίτλοι.
Σε αδιέξοδο.
Land type: Plot
Plot area: 555 m2
Plot Type: Residential
Postal code: 2480
Square meter price: €243 /m2:













