This Property Search Sponsor Link is Available | PURCHASE HERE
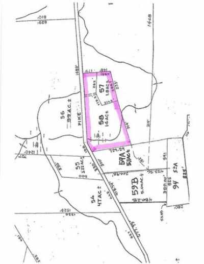
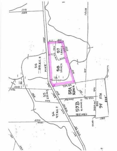
Residential Land For Sale in Foster, Rhode Island, United States
8 properties available.
(page 1 of 1)







