This Property Search Sponsor Link is Available | PURCHASE HERE
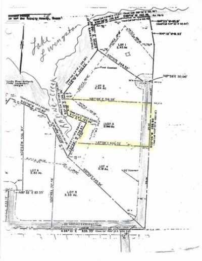
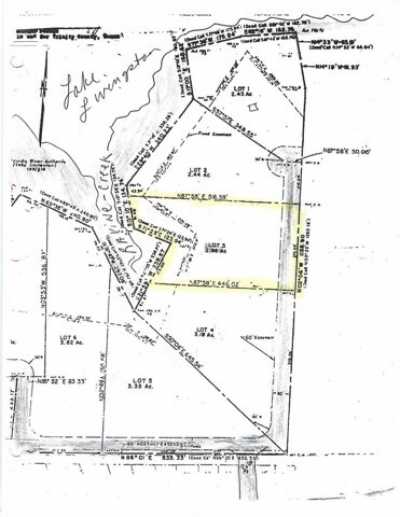
Residential Land For Sale in Trinity, Texas, United States
75 properties available.
(page 1 of 2)







































