Residential Land For Sale
$566,280
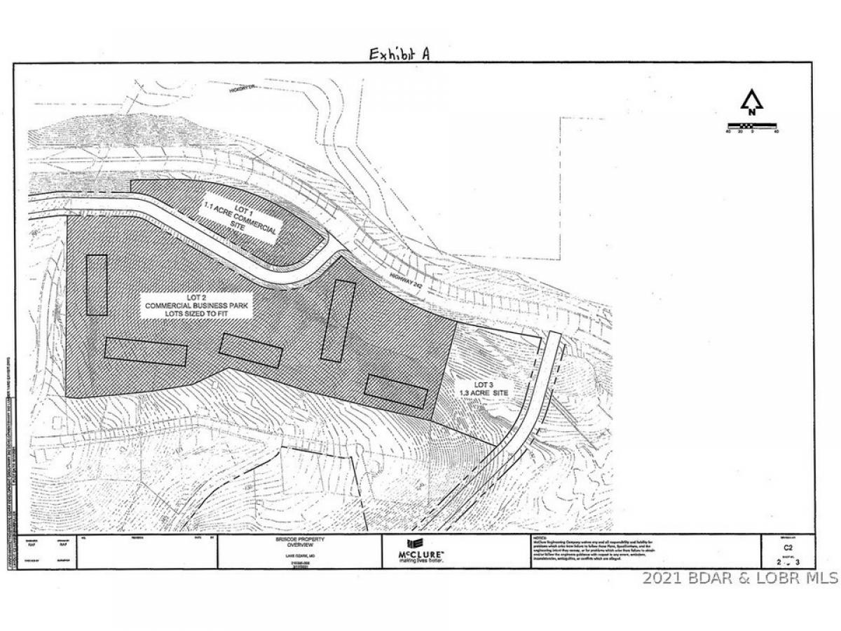
Lot 3 Hwy 242
Lake Ozark, Missouri, United States
1 sqft
Listed By: The Real Estate Book
Listed On: 09/06/2024
Listing ID: GL11183134 View More Details
Description
1.3 acre commercial pad site with great exposure off of Hwy 242. Owner to provide a rough graded site fully serviced with infrastructure upon closing. With visibility, the correct zoning, water, sewer and electricity this is the perfect location for a corner c store, fast food restaurant or many other commercial ventures. Hwy 242 is the future of Lake Ozark and this spot is centrally located close to Osage Beach Parkway and The Bagnell Dam Strip. Only seconds from Menards, Kohls, the movie theater and everything else yet to be built on Hwy 242. Seller is willing to build to suit with a properly structured deal. Tons of potential for varying business opportunities. If you want visibility and a central location, this corner lot is something you need to check out. Lot is within the City of Lake Ozarks Tif district.



















